Overview
- Atualizado em:
- 09/01/2022
- 228.00 m2
Descrição
Terreno para construção – S. Domingos, Argoncilhe
Descritivo completo
Terrenos em Argoncilhe
Parcela de terreno (lote 3) para construção de moradia independente, localizado na Rua 1.º de Dezembro em Argoncilhe, bem próximo da N1 e do acesso
à A41, o que permite uma ligação rápida à cidade de Espinho, Santa Maria da Feira ou Vila Nova de Gaia e Porto.
Localizado numa zona residencial tranquila e com boas acessibilidades, este lote permitirá construir a sua futura casa com cave, rés-do-chão e andar, e
ainda um anexo, num terreno com boas áreas, podendo ainda, caso necessite e deseja uma maior área de terreno, adquirir o lote contíguo, dado de que
dispomos de quatro terrenos contíguos para venda.
Todos os quatro lotes encontram-se em zona urbana de construção, sendo que o presente terreno em venda apresenta as seguintes características:
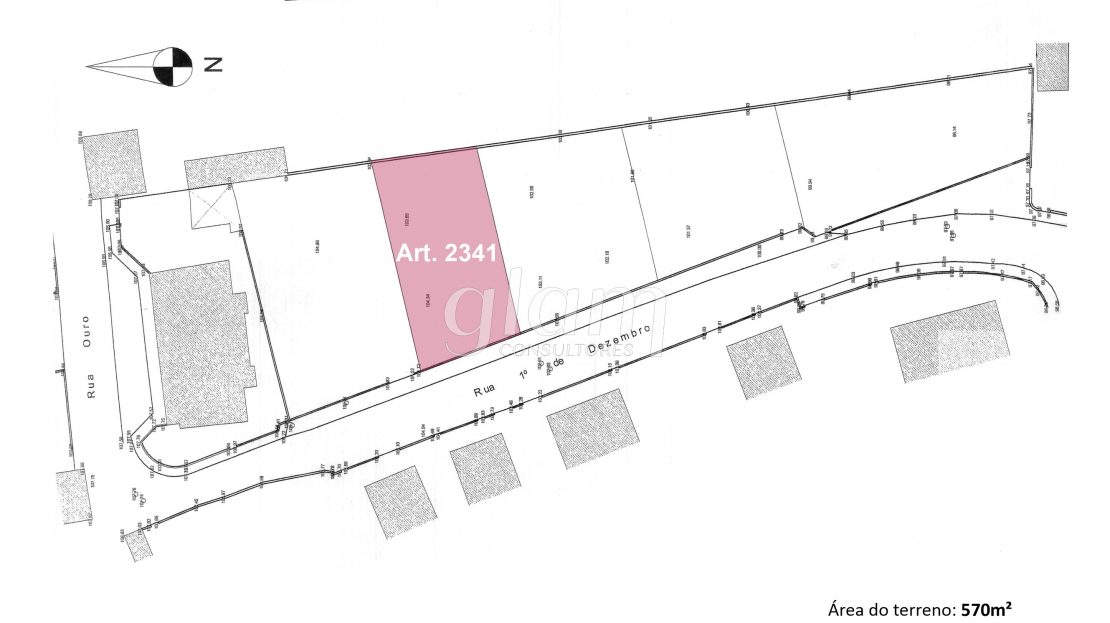
Quadro áreas (conforme caderneta predial urbana):
Artigo urbano: 2341
– Área de terreno: 420 m² (inscrito na caderneta predial urbana com 570 m²)
– Área de implantação: 142m²
– Área bruta dependente: 43m²
– Área de frente de terreno: 15m
Outras informações:
– índice de construção: 0,9%;
– afastamentos (laterais e posterior): metade da altura da fachada, num mínimo de 3m;
– afastamento frontal: 9m da fachada ao eixo da via.
NOTA: possibilidade de adquirir em conjunto os quatro lotes, sendo que se encontram para venda separadamente.
Venha viVER de perto!
Contacte-nos!















